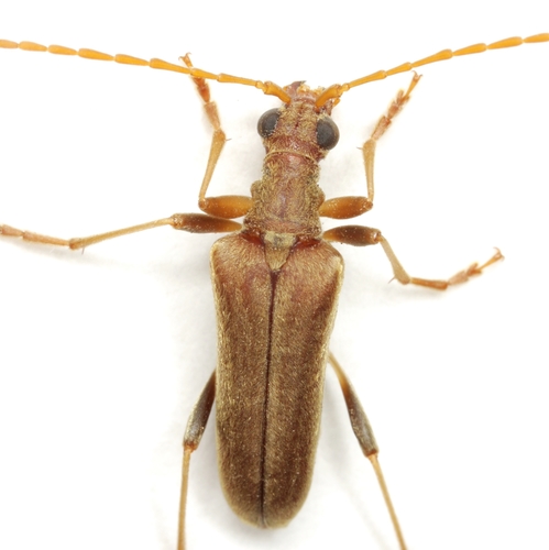
About Strangalia acuminata (Olivier, 1795)
Strangalia acuminata (Olivier, 1795) is a species of flower longhorn beetle that belongs to the family Cerambycidae. This species occurs in North America.
Strangalia acuminata (Olivier, 1795) is a animal in the Cerambycidae family, order Coleoptera, kingdom Animalia. Not known to be toxic.
Strangalia acuminata (Olivier, 1795)
Strangalia acuminata is a flower longhorn beetle species from the Cerambycidae family found in North America.
Strangalia acuminata (Olivier, 1795) is a species of flower longhorn beetle that belongs to the family Cerambycidae. This species occurs in North America.
Photo: (c) Bill Siebert, some rights reserved (CC BY-NC), uploaded by Bill Siebert · cc-by-nc
Typocerus lugubris (Say, 1824)
Tragosoma harrisii LeConte, 1851
Derobrachus hovorei Santos-Silva, 2007
Aromia bungii (Faldermann, 1835)
Lasiopezus nigromaculatus Quedenfeldt, 1882
Stenocorus cinnamopterus (Randall, 1838)
Sources: GBIF, iNaturalist, Wikipedia, NCBI Taxonomy · Disclaimer
Identify Strangalia acuminata (Olivier, 1795) instantly — even offline
iNature uses on-device AI to identify plants, animals, fungi and more. No internet needed.
Download iNature — FreeDownload iNature for free. 10 identifications on us. No account needed. No credit card required.
Download Free on App Store