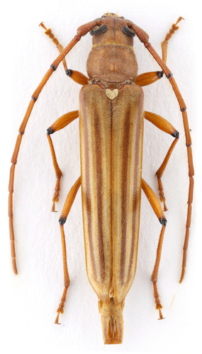
About Deretrachys pellitus (Kirsch, 1889)
Deretrachys pellitus is a species of beetle that belongs to the family Cerambycidae. This species was originally described by Theodor Franz Wilhelm Kirsch in 1889.
Deretrachys pellitus (Kirsch, 1889) is a animal in the Cerambycidae family, order Coleoptera, kingdom Animalia. Not known to be toxic.
Deretrachys pellitus (Kirsch, 1889)
Deretrachys pellitus is a cerambycidae beetle species described by Theodor Franz Wilhelm Kirsch in 1889.
Deretrachys pellitus is a species of beetle that belongs to the family Cerambycidae. This species was originally described by Theodor Franz Wilhelm Kirsch in 1889.
Photo: (c) Felipe Campos, some rights reserved (CC BY-NC), uploaded by Felipe Campos · cc-by-nc
Malacopterus tenellus (Fabricius, 1801)
Monochamus bimaculatus Gahan, 1888
Graphisurus fasciatus (Degeer, 1775)
Grammoptera ruficornis (Fabricius, 1781)
Phymatodes testaceus (Linnaeus, 1758)
Blosyropus spinosus Redtenbacher, 1868
Sources: GBIF, iNaturalist, Wikipedia, NCBI Taxonomy · Disclaimer
Identify Deretrachys pellitus (Kirsch, 1889) instantly — even offline
iNature uses on-device AI to identify plants, animals, fungi and more. No internet needed.
Download iNature — FreeDownload iNature for free. 10 identifications on us. No account needed. No credit card required.
Download Free on App Store