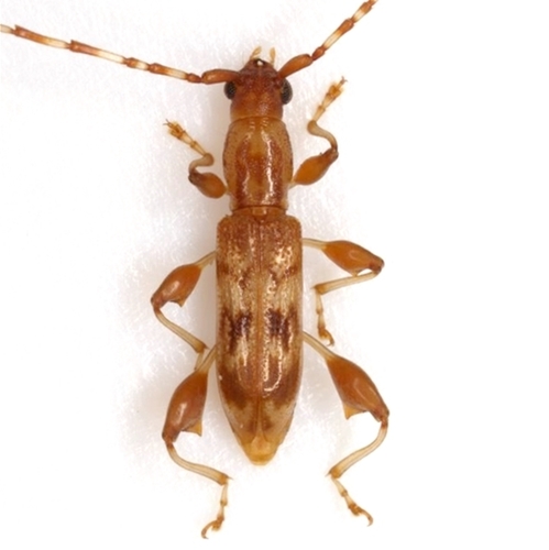
About Clytus ruricola (Olivier, 1795)
Clytus ruricola is a species of beetle that belongs to the family Cerambycidae. This species was originally described by Olivier in 1795.
Clytus ruricola (Olivier, 1795) is a animal in the Cerambycidae family, order Coleoptera, kingdom Animalia. Not known to be toxic.
Clytus ruricola (Olivier, 1795)
Clytus ruricola is a species of longhorn beetle (Cerambycidae) described by Olivier in 1795.
Clytus ruricola is a species of beetle that belongs to the family Cerambycidae. This species was originally described by Olivier in 1795.
Photo: (c) skitterbug, some rights reserved (CC BY), uploaded by skitterbug · cc-by
Plectromerus dentipes (Olivier, 1790)
Chlorophorus quinquefasciatus (Castelnau & Gory, 1841)
Neoclytus ypsilon Chevrolat, 1862
Xestoleptura tibialis (LeConte, 1850)
Neoclytus pusillus (Castelnau & Gory, 1841)
Brachyleptura rubrica (Say, 1824)
Sources: GBIF, iNaturalist, Wikipedia, NCBI Taxonomy · Disclaimer
Identify Clytus ruricola (Olivier, 1795) instantly — even offline
iNature uses on-device AI to identify plants, animals, fungi and more. No internet needed.
Download iNature — FreeDownload iNature for free. 10 identifications on us. No account needed. No credit card required.
Download Free on App Store