About Centrodera spurca (LeConte, 1857)
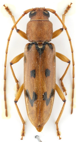
Centrodera spurca, commonly known as the yellow Douglas fir borer, is a species of flower longhorn beetle that belongs to the beetle family Cerambycidae. This species can be found in North America.
Centrodera spurca (LeConte, 1857) is a animal in the Cerambycidae family, order Coleoptera, kingdom Animalia. Not known to be toxic.
Centrodera spurca (LeConte, 1857)
Centrodera spurca (yellow Douglas fir borer) is a North American flower longhorn beetle in the Cerambycidae family.
Centrodera spurca, commonly known as the yellow Douglas fir borer, is a species of flower longhorn beetle that belongs to the beetle family Cerambycidae. This species can be found in North America.
Photo: (c) Gary McDonald, all rights reserved, uploaded by Gary McDonald
Achryson surinamum (Linnaeus, 1767)
Oxymirus cursor (Linnaeus, 1758)
Oncideres cingulata (Say, 1827)
Chlorida cincta Guérin-Méneville, 1844
Phytoecia caerulea (Scopoli, 1772)
Phytoecia cylindrica (Linnaeus, 1758)
Sources: GBIF, iNaturalist, Wikipedia, NCBI Taxonomy · Disclaimer
Identify Centrodera spurca (LeConte, 1857) instantly — even offline
iNature uses on-device AI to identify plants, animals, fungi and more. No internet needed.
Download iNature — FreeDownload iNature for free. 10 identifications on us. No account needed. No credit card required.
Download Free on App Store