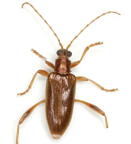
Cassida canaliculata Laicharting, 1781 is a animal in the Chrysomelidae family, order Coleoptera, kingdom Animalia. Not known to be toxic.

Photo of Cassida canaliculata Laicharting, 1781 (Cassida canaliculata Laicharting, 1781)
🦋 Animalia

Cassida canaliculata Laicharting, 1781

Cassida canaliculata Laicharting, 1781

Cassida canaliculata Laicharting, 1781 is a leaf beetle species found across parts of Europe and Western Asia that feeds on Lamiaceae plants.

Family
Genus
Cassida
Order
Coleoptera
Class
Insecta

About Cassida canaliculata Laicharting, 1781

Cassida canaliculata Laicharting, 1781 is a species of beetle that belongs to the leaf beetle family. It is distributed across Central, Western, and Eastern Europe, including North Italy, as well as the Caucasus, Turkey, and western Kazakhstan. This species lives in habitats where it feeds on plants from the family Lamiaceae, specifically including Salvia pratensis and Salvia verticillata.

Photo: (c) gernotkunz, all rights reserved, uploaded by gernotkunz

Taxonomy

Animalia Arthropoda Insecta Coleoptera Chrysomelidae Cassida

More from Chrysomelidae

Sources: GBIF, iNaturalist, Wikipedia, NCBI Taxonomy · Disclaimer

Identify Cassida canaliculata Laicharting, 1781 instantly — even offline

iNature uses on-device AI to identify plants, animals, fungi and more. No internet needed.

Download iNature — Free

Start Exploring Nature Today

Download iNature for free. 10 identifications on us. No account needed. No credit card required.

Download Free on App Store